Úrovňové křížení komunikací
| Stav zpracování | |
|---|---|
| Stav | hotovo |
| Projednáno | 21. 12. 2022 |
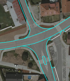
Při novém mapování silnic II. a III. tříd se postupuje podle pravidla: „Při úrovňovém křížení silnic různých tříd má přednost v kresbě hranice pro vyšší třídu silnice (dle obecných pravidel definovaných v příloze č. 3 Vyhlášky č. 104/1997 Sb., kterou se provádí zákon o pozemních komunikacích)“. Hranice silnice II. třídy má tedy přednost před silnicí III. třídy a je průběžná.
Obvod pozemní komunikace DI pak bude v intravilánu vygenerován po obrubu podle průběhu silnice II. třídy a III. třídy, případně pokud obruba neexistuje, vyhodnotí se silniční pozemek obdobně jako v extravilánu.
Obdobně se mapuje i křížení silnic II. a III. třídy s místními komunikacemi. Pozemní komunikace stejné třídy se dále účelově rozdělují v křižovatkách, aby nedocházelo ke vzniku dlouhých rozvětvených ploch komunikací („pavouků“).
U dálnic a silnic I. třídy je potřeba se napojit na vymezené území, ve kterém již řeší obvod pozemní komunikace ŘSD.
Silnice II. a III. třídy a místní komunikace se při úrovňovém křížení mapují konstrukční linií hranice dopravní stavby nebo plochy s typem pozemní komunikace.
Způsob kresby křížení pozemních komunikací je vidět na následujících obrázcích.
Tímto upřesněním je v případě kolize výkladu možné zrušit vazbu na Zákon č. 13/1997 Sb., o pozemních komunikacích, tak aby nedocházelo k rozporu definice vymezení vůči výčtu právních předpisů v technických specifikacích zadání krajských datových projektů.


