Osa pozemní komunikace v křižovatkách
| Stav zpracování | |
|---|---|
| Stav | neaktuální verze |
| Projednáno | 19. 10. 2022 |
Text je platný pro Datové projekty DTM krajů - prvotní naplnění DTM krajů v období 2020 – 2023. Aktuální verze Metodiky doporučující postup pro vymezování prvků dopravní infrastruktury pro DTM, Pozemní komunikace je v kapitole 3. Dopravní infrastruktura – metodika.
Křižovatky jsou prvotně řešeny v porovnání se Silniční databankou (SDB). Body uzlového lokalizačního systému (ULS), které jsou polohově správně budou využity, ostatní uzlové body budou vytvořeny dle skutečnosti. Osy budou nakresleny dle skutečnosti (nebudou využity osy SDB). Dále jsou uvedeny ukázky řešení různých typů křižovatek. V křižovatkách se budou stýkat osy nejlépe v jednom bodě (dopravní uzel silniční sítě – prvek DI).
Základní typ křižovatky
Obr. č. 1: Klasické řešení křižovatky
Nedokončená osa v křižovatce – Ukázkou je Obr. č. 2, kde je na podkladě SDB/ULS dokreslena osa směřující ke křižovatce podle skutečnosti (tlustá červená). V ULS řešeno jen tenkou čarou. V DTM je řešeno dle skutečnosti.
Obr. č. 2: Chybějící úsek před křižovatkou – dokončení osy na podkladě ULS
Mimoúrovňové křížení – V případě mimoúrovňového křížení je nutné osu rozdělit podle úrovně LEVEL – viz obr. č. 3.
Obr. č. 3: Mimoúrovňové křížení
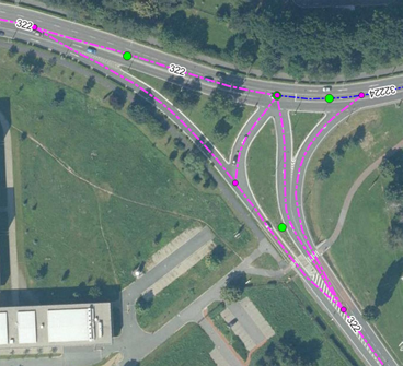
Úprava os pozemních komunikací dle skutečnosti – další případy řešení os pozemních komunikací jsou uvedeny na Obr. č. 4 až č. 6. Zde je uveden návrh řešení uzlových bodů a os pozemních komunikací dle skutečnosti pro potřeby DTM (fialové body – uzlové body silniční sítě dle skutečnosti, zelené body – původní body v ULS).
Obr. č. 4: Křižovatka se složitějším průběhem
Obr. č. 5: Osy PK – jinak než v SDB
Obr. č. 6: Napojení na komunikaci I. třídy
Osa pozemní komunikace přes železnici – úrovňové křížení – Vymezená území Správy železnice jsou specifická a prostor v nich by pro účely ZPS měl být dodán do struktur DTM přímo Správou železnic. Nicméně pro účely prvků DI bude průběh osy pozemních komunikací ve vymezeném území nepřerušen.
Obr. č. 7: Osa přes železniční přejezd nebude přerušena
Okružní křižovatky – Na Obr. č. 8 je jeden ze základních příkladů řešení Osy PK okružní křižovatky. Pokud by žlutá osa pozemní komunikace byla osou komunikace vyšší kategorie (dálnice, I. třída) bude dopravní uzel také součástí osy na okružní křižovatce. Na okružní křižovatce budou vytvořeny tři úseky a ty spárovány s ID dle SDB. Žlutá osa nakonec nebude součástí vyhodnocení DTM kraje.
Obr. č. 8: Základní řešení okružní křižovatky
Na Obr. č. 9 je uvedena situace, kdy vznikl nový rondel. Bude upraveno dle skutečnosti, nebude přihlíženo k silniční databance a ULS. Atributy přiřadíme dle silnice vyšší kategorie nebo dle nižšího čísla označení komunikace stejné kategorie. Chybějící atributy nebudou doplněny, to se týká především čísla úseku ze SDB. Rozpor bude archivován u zhotovitele a uveden v technické zprávě.
Obr. č. 9: řešení nově vzniklého rondelu
Dalším příkladem je okružní křižovatka, Obr. č. 10. Dle SDB je řešena tenkou červenou linií. V projektech DTM kraje bude vykreslen celý průběh (tlustá červená), který bude doplněn dle skutečnosti.
Obr. č. 10: Okružní křižovatka, doplněna osa na kružnici










