Obsah
3.2.4. Úrovňové křížení
| Stav zpracování | |
|---|---|
| Stav | hotovo |
| Projednáno | 18. 10. 2024 |
Předchozí kapitola: 3.2.3. Způsob napojení komunikací
Kapitola se zabývá úrovňovým křížením pozemních komunikací navzájem. Křížení se železnicí a vodními toky je řešeno v jedné z následujících kapitol – viz ustanovení § 1 odst. 2 Vyhlášky o pozemních komunikací – viz kompletní znění legislativy v příloze 2.g) nebo online Zákony pro lidi.
3.2.4.1. Křižovatky – základní pravidla
Určení hranice mezi pozemními komunikacemi navzájem a mezi nimi a nemovitostmi (schéma křižovatek a připojení) je obsahem přílohy č. 3 Vyhlášky o pozemních komunikacích (viz Obrázek 1 - Obrázek 8).
Pravidla pro napojení komunikací:
- Vyšší x nižší třída – komunikace nižší třídy se napojuje do průběžně probíhající komunikace vyšší třídy (viz Obrázek 8 - Obrázek 12).
- Shodné třídy (označení min. jedné komunikace není ukončeno v křižovatce) – rozhodující je označení (číslování) komunikací (viz Obrázek 9 - Obrázek 11, Obrázek 13, Obrázek 14).
- Shodné třídy (označení všech komunikací je ukončeno v křižovatce) – rozhodující je dopravní značení, z kterého je zřejmý průběh hlavní a napojení vedlejší komunikace, tj. hlavní a vedlejší komunikace dle dopravního značení.
- Větve úrovňových křižovatek se dle § 10 Zákona o pozemních komunikacích přiřazují ke komunikaci nižší kategorie nebo třídy. V případě složitějších křižovatek s nejasnostmi, co je větví a co jízdním pruhem, použít ULS (uzlový lokalizační systém) (viz Obrázek 15).
V intravilánu, kde jsou obruby, je napojení vedlejší komunikace řešeno pouze rovným zákresem po hranici průjezdného profilu (viz Obrázek 10, Obrázek 11, Obrázek 14).
Pozn.: Předpokládá se, že komunikace vyšší kategorie a třídy je hlavní komunikací.
3.2.4.2. Křižovatka typu „X“
Obrázek 8: Napojení komunikací vyšší a nižší třídy v extravilánu
Obrázek 9: Napojení komunikací stejné třídy v extravilánu/bez obrub, s propustky
Obrázek 10: Napojení komunikací stejné třídy v intravilánu/obrubníky
Obrázek 11: Napojení komunikací stejné třídy v intravilánu/obrubníky (stejný vlastník)
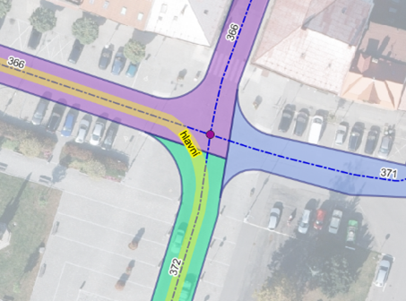
3.2.4.3. Křižovatka typu „T“
Obrázek 12: Základní řešení křižovatky typu „T“
V případě typu křižovatky „T“, kdy se jedná o stejnou třídu komunikací a u vymezení obvodu PK se zohlední dopravní značení (viz Obrázek 13), tzn. prostor křižovatky ponechat v obvodu PK průběžně (hlavní).
Obrázek 13: Obvody PK v křižovatce „T“ dle označení PK
Obrázek 14: Napojení komunikací stejné třídy (intravilán – v obrubách) – obvody PK dle označení PK (bez ohledu na dopravní značení – hlavní x vedlejší
Využití pravidla hlavní a vedlejší komunikace dle dopravního značení (viz Obrázek 15)
Obrázek 15: Napojení komunikací stejné třídy – oddělení Obvodu PK upravuje přednost v jízdě
V případě středních dělících pásů, ostrůvků je vhodné zahrnout je do obvodu (Obrázek 16), pokud nestanoví VSP jinak.
Obrázek 16: Řešení Obvodu PK, který zahrnuje vnitřní ostrůvek
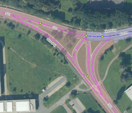
3.2.4.4. Složitější typ křižovatky
Obrázek 17: Složitější křižovatka – Obvody PK (osy ilustrativní, uzly jsou z ULS (uzlový lokalizační systém)
3.2.4.5. Okružní křižovatky
Do Obvodu PK patří celá okružní křižovatka včetně větví po místo, kde silnice přechází „v přímý úsek“, tzn. napojení silnice na okružní křižovatku se ukončí v místě hranice křižovatky. Část přilehlých zakružovacích oblouků je součástí okružní křižovatky. Okružní křižovatky náleží k silnici vyšší třídy.
Obrázek 18: Základní řešení Obvodu PK u okružní křižovatky
Obrázek 19: Zákres Obvodu PK (žlutá linie) – okružní křižovatka s ostrůvky
3.2.4.6. Křížení s SVÚ
Vymezená území ŘSD a SŽ mají měkké hranice a za účelem vytvoření obvodu PK nižších instancí (kraj, obec) v nich lze vyhodnotit prvky DI, a to např. pro účely případného narovnání vlastnictví či správy staveb. Jedná se například o situaci souběhu drážního tělesa se zemním tělesem silniční stavby, které nemají vyřešené majetkové přiřazení.
Při vymezení obvodů PK v návaznosti na SVÚ SŽ a ŘSD se v místech křížení s těmito územími upřednostňuje řešení obvodu dráhy (SŽ) a Obvodu PK (ŘSD).
Dálnice a silnice I. tř. (ŘSD)
Obrázek 20: Vynechán Obvod PK silnice I. třídy., stávající stav krajské silnice vyhovuje napojení ŘSD, Obvod PK ŘSD není zakreslen
Železniční přejezd
Obvod dráhy a další náležitosti jsou definovány v § 4 a § 6 Zákona č. 266/1994 Sb., o drahách, ve znění pozdějších předpisů, a dále v § 37 odst. 4 Zákona o pozemních komunikacích – viz kompletní znění legislativy v příloze 2.h) nebo online Zákony pro lidi.
Ve většině případů byl Obvod PK vymezen dle doporučení předchozí metodiky (k datu 12/2023) i ve vymezeném území SŽ, konkrétně jde o místa železničních přejezdů, kdy se v rámci Obvodu PK zahrnula plocha vozovky komunikace přes přejezd tak, aby objekt Obvod PK nebyl přes železnici dělen. V rámci následujících řešení se však doporučuje situaci řešit rozdělením obvodu přes železnici a napojit objekt „Železniční přejezd“, což umožňuje drážní DI, v níž objekt Železniční přejezd existuje (viz Obrázek 21).
Obrázek 21: Obvod PK rozdělen a vložen objekt Železniční přejezd
Následující kapitola: 3.2.5. Mimoúrovňové křížení














